<< Previous

This asset is part of a series

Next >>

Used in pathways:

My Default Pathway by Gruffudd Watts, Student

The Great House by Samuel Whyte, Student

The intertextual relationship between Woolf and Potter's imagining of Orlando through the location of Hatfield House.

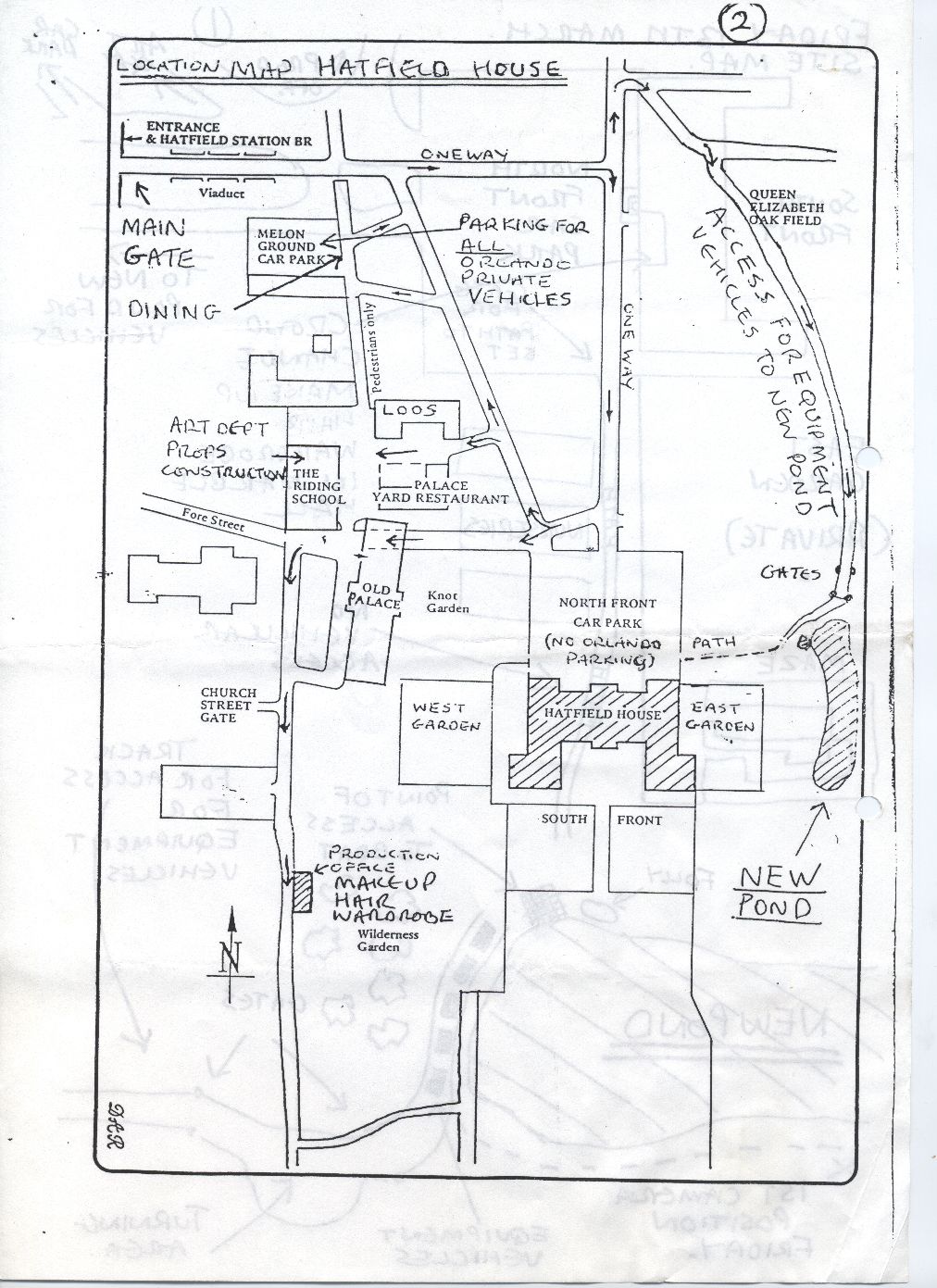
Description Page 2 Printed map of Hatfield House with handwritten annotations. Photocopied A4 sheet
Asset ID SPA0002309
Date 13/03/1992
Tags